Armstrong Gas Unit

Trying to figure this out for an associate… His conveyances (2 acres from an Aunt and Niece - but not his) were executed in 2009 and specifically reference Chesapeake Operating, Inc., Armstrong Gas Unit, and four Abstracts in Cherokee County, Texas - R.R. Jewell A-455, W. Pool A-718, J.T. Jones A-473, and J. Thomas A-831. He says (he thinks) he got a Division Order from Chesapeake but they claim to have sold their interest long ago.

I have found lots of information but still cannot determine what happened with this particular Unit and I am at a loss for where to go from here.

I have utilized Texas RRC, Shale XP, and TexasFile and found the following that may or may not be relevant: Cherokee County LR 908/308, Dated 4/5/1984 - Declaration of Unitization and Designation of Unit 1950/280 - 3rd Amendment to DPU - references unrecorded Operating Agreement 2008 - Chesapeake permit 654755 approved for vertical well - Armstrong 2 - Still shows as New Drill - API 42-073-33132 Armstrong 1 Lease 06-110933, Elms Oil Co. 42-073-30569 (P&A) SND Operating owned WI in 2015 & 2016 for Lease 06-110933 Armstrong Deep 1 Lease 06-235941, Fortune Resources LLC, 42-073-31286

Any suggestions would be much appreciated.

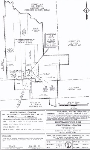
Attached below is the plat Chesapeake filed with RRC in 2008 when they got the permit to drill the Armstrong #2. It was permitted as a Travis Peak well but RRC is showing it was never drilled. In that case the permit, and unit would have expired 10+ years ago.

The only recent activity RRC is showing in that area is a deeper horizontal Cotton Valley well Valence Operating completed in 2021. That unit plat that is also below shows a portion of the Weaver unit extending across part of the east side of the R. Jewell Survey, A-455.

Thanks for looking into it Dusty. That is pretty much what I gathered. Thought it was odd that Chesapeake Armstrong was still listed as a New Drill. Seems there would be another status listed like Cancelled or something like that. My buddy thinks he received one from them. Do O&G companies issue division orders before a well is spudded? Guess they would have to. Seems like if they get to that point then cancel the well altogether, they should send out some sort of notification.

On the Plat what do the slashed lines from the Wagner and Pennzoil wells indicate?

Didn’t notice the Weaver.

From my experience division orders aren’t sent out until a well has been drilled and completed, sometimes long after. I’d be surprised if someone received one covering a well that was just at the permit stage.

RRC approves permits for lots of wells that never get drilled. You may see a blue circle on their map that looks like a recent permit but when you click it learn that it expired years ago.

Other than possibly being done as part of negotiating of a drill site, I’ve never seen an operator notify lessors (or anyone other than working interest owners) that a well was going to be drilled, or that they had decided not to drill one. In Texas a drilling permit expires automatically if drilling hasn’t started within two years of the date the permit was approved.

The dashed lines on the plat extending to the two nearby wells are showing the distance from those wells to the location that was being permitted.